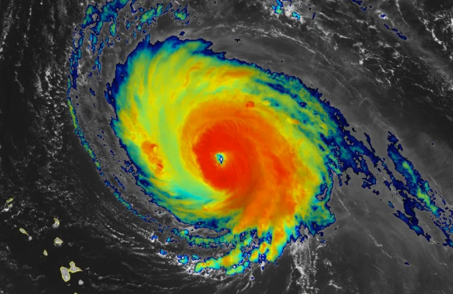
Recommended!Surging Sam Swells Showing Soon on Outer Banks30 Sep 2021Hurricane Sam Hurricane Sam is not coming to the...Read more
Recommended!Record Number of Sea Turtle Nests for Outer Banks24 Sep 2021Baby Loggerheads ...Read more
Recommended!ESA Eastern Finals Return to Jennette's Pier19 Sep 2021ESA Competitor The ESA, the Eastern Surfing...Read more
Recommended!Artrageous Exceeds Expectations18 Sep 2021Playing with Bubbles at Artrageous Artrageous exceeded all expectations....Read more
Recommended!Artrageous Kids Art Festival Returns to Nags Head 16 Sep 2021Artrageous 2021 Artrageous Kids Art Festival is...Read more